Coronavirus: Australian scientists first to recreate deadly virus outside China ...United Arab Emirates

INDEPENDENT - Video
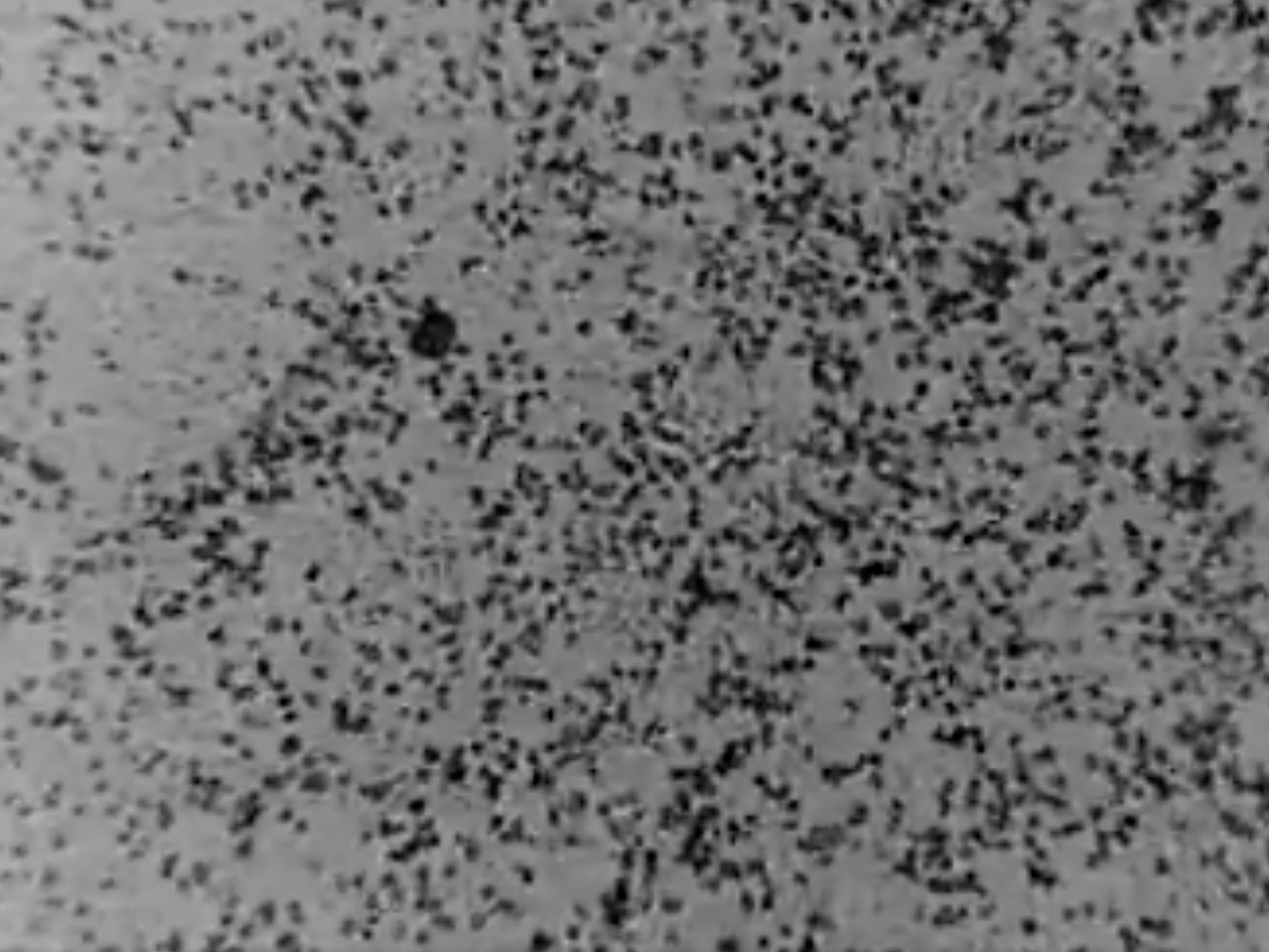
Coronavirus: Australian scientists first to recreate deadly virus outside China
Scientists say lab-grown virus is 'game changer' in fight against illness

Hence then, the article about coronavirus australian scientists first to recreate deadly virus outside china was published today ( ) and is available on INDEPENDENT ( United Arab Emirates ) The editorial team at PressBee has edited and verified it, and it may have been modified, fully republished, or quoted. You can read and follow the updates of this news or article from its original source.

Read More Details
Finally We wish PressBee provided you with enough information of ( Coronavirus: Australian scientists first to recreate deadly virus outside China )

Apple Storegoogle play

Last updated :

Also on site :

    Most viewed in Video